風更強雨更多,颱風為何愈來愈猛?研究:暖化海洋餵養超級強颱

本文經授權轉載自友站科技新報文/ 黃 嬿 

地球一瞬,世界各地正發生這些大小事。

註:本文為單一事件快訊報導,非深度文章

文章插圖

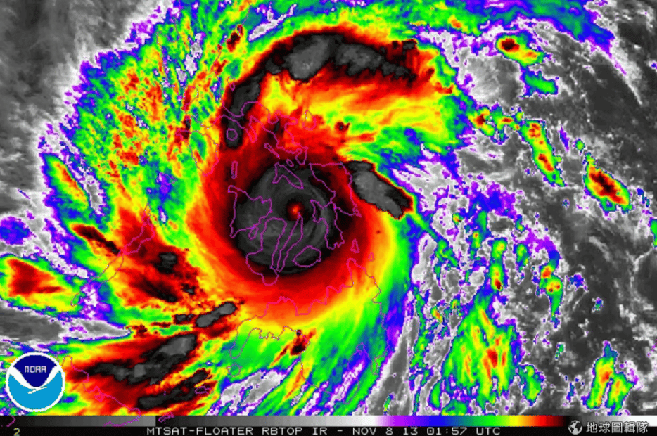
2013年海燕颱風結構札實。美國國家海洋和大氣管理局(NOAA)拍攝。

路透社 / 達志影像null

今年颱風不只多,且發展速度很快,不到兩天就增強成強烈颱風,夾帶驚人風速與雨量破壞陸地。這一切都與暖化有關,最近科學研究發現,溫暖海水不斷餵養颱風,氣候變遷因素使颱風降雨量平均增加 8%~11%,風速也更強。

颱風是風和雨的巨大熱力發動機,以溫暖海水和潮濕的空氣為食。由於溫暖空氣能容納更多水蒸氣,導致降雨率更高,降雨引發洪水已是颱風第二大殺手鐧,過去幾十年武器還一直增加。《自然通訊》期刊研究顯示,人為暖化使熱帶風暴和颱風每小時降雨量增加 5%~10%,只考慮颱風的話,暖化增加 11% 降雨量。

另一篇《環境研究:氣候》期刊研究也指出,2019~2023 年氣候變遷使大西洋颶風最大持續風速增加 31 公里,2024 年 11 場大西洋颶風最大風速提高 14~45 公里。

一切都是因海洋暖化,麻省理工學院颶風科學家 Kerry Emanuel 在 1987 年提出的理論認為,熱帶海洋溫度每升高 1°C,颱風風速增加約 5%。作者表示,今年每次颱風都比百年前更強,世界天氣歸因估計,今年重創美國東南方的颶風米爾頓,風力因暖化增加約 10%。

文章插圖

路透社null

風速增強 10%、損失增 100%

雖然氣候變遷導致颱風風力增加 10% 聽起來沒很多,但颱風損失會隨著風速呈指數級增加。美國國家海洋暨大氣總署 (NOAA) 數據,風速增加 10%,損失約加倍,不只風會造成損害,還有風暴潮、內陸洪水和龍捲風

研究員確定,最近襲擊美國的颶風海倫經濟損失有 44%,米爾頓經濟損失有 45% 可歸因於氣候變遷,且分析可能低估颱風真實成本,因未考慮長期經濟影響,如生產力損失和人們健康惡化。

科學家還發現,通常颱風碰觸陸地就會減弱,因失去溫暖海水的能量,但 2020 年科學家發現,登陸美國的颶風,登陸後很長時間仍保持強度,代表更遠內陸地區,也會經歷比幾十年來更嚴重的影響。

文章插圖

路透社null

颱風破壞力大增

世界天氣歸因 (World Weather Attribution) 報告指出,地球平均氣溫比工業化前升高 1.2°C,海洋溫度升高 1°C,7 月登陸台灣的強颱蓋美嚴重降雨,現在菲律賓北部約每 20 年發生一次,台灣每五年一次。如果全球暖化達 2°C,海面溫度會升高 0.6°C,蓋美颱風這類強颱產生可能性增加十倍。

隨著氣候變遷,熱帶氣旋只會更強烈潮濕,科學家警告,除非世界改變方向並大幅減少化石燃料,否則人們可預期颱風季節影響會逐漸惡化。

文章插圖

路透社null

科技新報

科技新報

科技新報是一群對資訊科技、能源、半導體、行動運算、網際網路、醫療、生物科技有高度熱忱與興趣的產業與新媒體人士,共同組成的時代新媒體,以產出有觀點與特色的原創文章為主要任務。

延伸閱讀

收起全部

參考資料

展開更多